
See What Your Eyes Can't—Reveal Your Most Radiant Skin
Discover exactly what your skin needs with advanced VISIA imaging, get a complementary laser treatment, and unlock exclusive pricing available only to DreamSkin members.
$300 Value for $21

Powered by VISIA Technology—a deep look beneath the surface. Your personalized 8-Point Radiant Skin Report analyzes your skin and reveals what the eye can't see.

Meet one-on-one with our expert team for personalized guidance tailored to your skin goals. Discover the actual age of your skin.

Choose an IPL or LaseMD spot treatment for your hands or neck. Performed on a separate day.

Exceptional savings on personalized packages and advanced treatments. Customized skincare programs designed to meet your timeline, budget, and aesthetic goals.
Plus: 6 months FREE financing available


Targets pigmentation, redness, and sun damage for visibly even skin tone.
Stimulates collagen for smoother texture, refined pores, and a youthful glow.



Walk away with crystal-clear insights about your skin's health. Your path to radiant, youthful complexion.
Advanced laser technology. These targeted treatments reveal smoother, more even-toned skin,
The Dolce Vita Medical Spa team in Reno, NV, brings years of specialized training and expertise in advanced skincare and laser treatments. Our advanced skin professionals combine cutting-edge technology with personalized care to help you achieve your most radiant skin.
Advanced Technology State-of-the-art VISIA imaging and FDA-approved laser treatments for precise, safe results.
Personalized Approach Every skin is unique. We create customized treatment plans based on your specific analysis and goals.
Ongoing Education Constantly refining techniques with the latest advancements in skin science and laser technology.






"I've been a member at this spa since I've moved to Reno and can't get enough of it. I came in wanting to clear up my adult acne and have found the perfect routine of services here. My favorites are the deluxe HydraFacial and the DiamondGlow facial. The staff are educated and friendly..."
— L.A.,Reno

"The professional as well as pampering feeling of the environment. I have had some facials where the facilities were more like a clinical exam area. At Dolce Vita, my facial experiences are always what I need! Highly recommend the oxygen treatment!"
— V.W., Reno

"Brie gave me an excellent hydrafacial and I was quite impressed with how the staff set up very positive feelings about Dolce Vita. Everyone with whom we interacted was pleasant and professional. We truly enjoyed our time and will certainly repeat the experience."
— S.T., Reno
Our $21 introductory offer won't last forever. Book your consultation today and discover what clarity can reveal about your skin.
Here's what you get:
State-of-the-Art VISIA Skin Analysis
45-Minute Advanced Consultation
FREE Laser Treatment (IPL or LaseMD)
Exclusive Secret Menu Pricing
6 months FREE financing
$300 Value for $21
Booking your consultation takes less than 2 minutes. After submitting your name, phone and email, click the button below see available times.

You'll leave with a comprehensive understanding of your skin's needs and a clear, personalized treatment plan to achieve your goals. If you're not 100% satisfied with your consultation and analysis, we'll make it right.
No obligation to continue the program
No high pressure sales tactics
Just expert guidance, education, and professional results
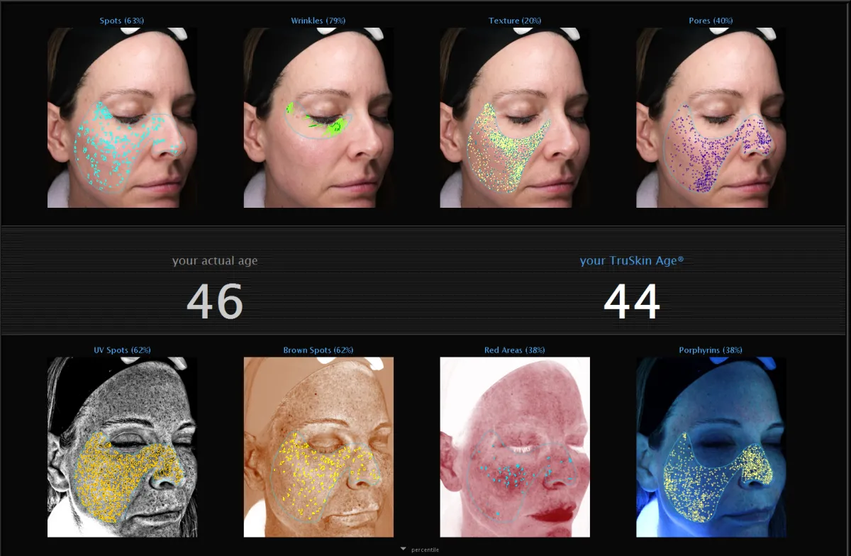
VISIA is state-of-the-art imaging technology that analyzes your skin beneath the surface. It provides an 8-Point Radiant Skin Report showing UV damage, spots, redness, wrinkles, texture, pores, volume loss, and bacteria that aren't visible to the naked eye.
Most clients describe minimal discomfort during laser treatments. The sensation is often compared to a light rubber band snap. IPL and LaseMD treatments typically take 15-30 minutes, and we can discuss comfort options during your consultation.
Results vary based on the treatment type and your skin's response. IPL results can last several months to a year with proper skincare and sun protection. LaseMD stimulates collagen production, so results improve over time and can last 6-12 months or longer with maintenance.
Perfect! This offer is designed for both newcomers and those experienced with skincare treatments. We'll explain everything, answer all questions, and start with a conservative, personalized approach based on your VISIA analysis.
Your FREE laser treatment (IPL or LaseMD spot treatment for hands or neck) will be scheduled on a separate day following your initial consultation. This allows us to properly prepare your skin and ensure optimal results.
After your consultation, you'll gain access to exclusive pricing on personalized skincare packages and advanced treatments. These customized programs are designed specifically for your skin's needs and aren't available to the general public.
Absolutely! You're welcome to bring a friend or family member to your consultation. Many clients find it helpful to have support during their skincare journey.
Arrive with clean skin—no makeup, lotions, or SPF. This allows us to get the most accurate VISIA analysis. Avoid sun exposure for at least one week before your consultation for best results.
Experience our $21 Dream Skin offer at Dolce Vita Wellness and Medical Spa, available for a limited time and subject to availability. This promotion cannot be combined with other offers, discounts, or promotions. Spa amenities are not included with this campaign. Payment is due on the day of service. Use of spa amenities is not included in this offer. Dolce Vita Wellness and Medical Spa reserves the right to modify or end this offer at any time without notice. Please consult a qualified professional for any medical or treatment-related questions.

Dolce Vita Wellness & Medical Spa
Inside Rancharrah Village
7200 Rancharrah Pkwy, Reno, NV
Wellness & Medical Spa Hours
Monday-Friday: 9:00am - 6:00pm
Dolce Vita Wellness & Medical Spa © 2026. All Rights Reserved.